For Nurse Anesthesia (CRNA) programs, the CCE Log aligns with National Board of Certification and Recertification for Nurse Anesthetists (NBCRNA) requirements to ensure students gain appropriate exposure to required case types, patient populations, and competency domains.
This guide explains how to activate and configure the CCE Log (Patient Log), review and approve student submissions, and generate reports to track clinical progress, maintain compliance, and support faculty review workflows.
The Clinical Case Experience (CCE) Case Log in Exxat Prism is a key component of clinical education management, particularly for nursing and nurse anesthesia (CRNA) programs aligned with NBCRNA requirements. It enables program administrators to configure, monitor, and manage how students document their clinical experiences throughout their clinical training.
Using the CCE Case Log, students record detailed information about their daily clinical activities, including patient encounters, anesthesia cases, procedures performed, competency development, and other clinical experiences within their current clinical course. Each log entry represents a single patient encounter and contributes to the student’s overall case counts and competency tracking.
For Nurse Anesthesia programs, the CCE Case Log supports tracking requirements established by the National Board of Certification and Recertification for Nurse Anesthetists (NBCRNA). These requirements ensure that students gain appropriate exposure to case types, patient populations, anesthesia techniques, and competency domains prior to graduation.
The CCE Log enables institutions and program administrators to:
Track student patient encounters and clinical cases
Monitor procedures performed and competency development
Ensure accurate and consistent documentation of clinical experiences
Support grading workflows, faculty review processes, and preceptor approvals
Maintain compliance with institutional policies and accreditation requirements
For administrators and faculty, the CCE Case Log provides a structured framework to oversee and evaluate student clinical documentation. It allows programs to monitor student progress, verify clinical exposure, and ensure that case logs are submitted, reviewed, and approved according to defined program guidelines.
Overall, the CCE Case Log functions as a centralized digital record of student clinical activity, reflecting hands-on learning, competency progression, and program compliance throughout the student’s clinical training.
Activate CCE Log
To activate CCE log for a course offering follow the steps provided below.
Login to Exxat Prism using your university credentials.
From the dashboard go to Courses section and in the Course Offering tab click on the Course Name for which you want to activate the CCE log.
Navigate to the Learning Activities and go to Setup.
In the Patient Log card click the Edit icon.
Note: Patient Log is the standard terminology used in Exxat Prism. CCE Logs are configured and managed in the Patient logs.Fill the Patient Log form.
Enable the Activate toggle.
Select the CCE Log template form the drop down Select the the Log layout for this course offering. Click on the Preview layout to preview the CCE log form.
Set the Rules.
Choose Yes, if you want to restrict students form adding logs after a set number of days from the encounter date. Enter the number of days allowed.
Choose No, if you do not want to restrict.
Example:
Encounter date: Feb 11, 2026; Limit: 5days; Students can submit CCE log until Feb 17, 2026.
Choose if the CCE log contributes to the final course grade.
In the Grading section, determine whether the Patient Log contributes to the course grade.Select Yes if the log contributes to grading.
Enter the Maximum Score.
Define the Weightage (%).
Select the Grading Type, such as: Letter Grade, Pass/Fail, or Not Applicable
Choose the appropriate scheme configured in the system.
Select the Review and Approval options.
Enable Automatic approval of the CCE log - Select Yes for the log to be approved automatically after submission.
Preceptor review of the CCE log. Click on the Email Template preview option to preview the email that will be sent to preceptor requesting them to review the CCE log.
Customize displayed columns when reviewing the case log (patient log). Here you can add additional columns for review.
Choose if you the log requires attestation from the preceptor.
Click Save
The Patient Log is now active for the course offering.
The status of the Patient Log in the Learning Activities section for the course offering changes to Activated.
Review CCE Log
Login to Exxat Prism using your university credentials.
From the dashboard go to Courses section and in the Course Offering tab click on the Course Name for which you want to activate the CCE log.
Navigate to the Learning Activities and go to Review and click Patient Log.
Use the search option to find a specific student.
Click on the Logs Count By Status for the student.
You can view logs by status:Pending Review – Logs awaiting approval
Needs Attention – Logs requiring corrections
Approved - Logs submitted and approves.
Click on the Log ID to review the log submitted in detail.
Review the log details and do one of the following.
Update: you have any made changes to the details in the log.
Needs Attention: to request any change or clarification to the log by student.
Approve: to Approve the log.
Delete: to delete the log.
Export: to export the log in a pdf.
You can also approve multiple logs at once. Select the logs you want to approve and click Approve.
Or click Approve all logs to approve at once.
Click on the Export button to export all the log details in an excel file.
View CCE Log Reports
Login to Exxat Prism using your university credentials.
From the Dashboard, go to the Learning Activities section. Select the course offering, and in the Action column, click Reports to filter and view data specific to the selected course offering.
You can access two reports for the CCE Log.
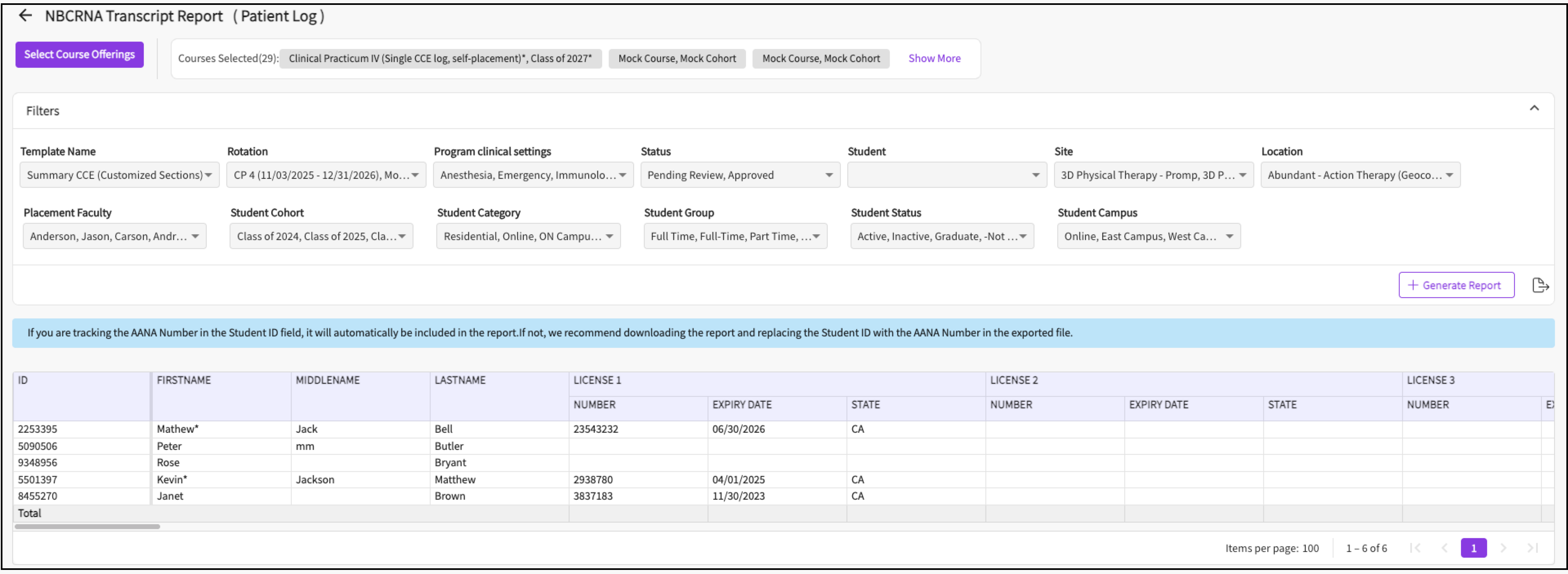
Click on the NBCRNA Transcript report to gather the case log statistics for each student across courses an rotations in accordance with the NBCRNA guidelines.
You can proceed with the selected course offering or select more courses.
Select the appropriate filters.
Click Generate Report to generate the report.
Click Export to export the report into a Excel file.
Click on the Student Activity Insights report to track students daily activities in detail. Drilldown insights and color coded indicators show where students are excelling, on track, or needing improvement.
Select the course offerings.
Select Rotation, Program clinical Settings, Sites, Location, Status, and Student.
Click Generate Report to generate the report.
Click Export to export the report into a Excel file.
Green color Indicates: Value is between the program’s minimum and preferred benchmark — indicates you are on track.
Red color Indicates: Value is below the program’s minimum benchmark or below the competency threshold — indicates needing improvement or attention.
Yellow / Amber color Indicates: value is close to the the program’s preferred benchmark — indicates performance or counts approaching the minimum requirement.
Regularly reviewing your report helps ensure you meet required NBCRNA case requirements, certification eligibility, and competency expectations.
The Clinical Case Experience (CCE) Log in Exxat Prism provides a structured way to manage and monitor clinical training activities.
By configuring the log correctly, institutions can:
Ensure accurate documentation of clinical encounters
Maintain compliance with accreditation and certification requirements
Support faculty review and grading workflows
Track student progress through detailed reporting and analytics
Proper use of the CCE Log helps institutions streamline clinical education management while giving students a clear framework for documenting their clinical experience.
0 comments
Please sign in to leave a comment.